LOADING ...

Killer

Song info

"Killer" (2016)

"Killer" Videos

Consequence - Career Killer
Consequence - Career Killer
Consequence - Scared Of Commitment (feat. Chuuwee & Killer Mike)
Consequence - Scared Of Commitment (feat. Chuuwee & Killer Mike)
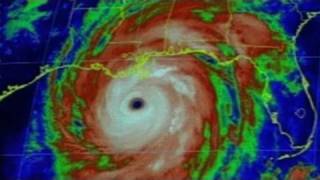
The Consequences of Hurricane Katrina
The Consequences of Hurricane Katrina
Re: Consequence- Career Killer (Pusha T Diss)
Re: Consequence- Career Killer (Pusha T Diss)
Key & Peele - Rap Album Confessions
Key & Peele - Rap Album Confessions
Consequence - Don't Waste Your Time (feat. Rell)
Consequence - Don't Waste Your Time (feat. Rell)
Consequence - Topic
Consequence - Topic
The Evil Within: Consequence - Ch.3 Illusions: Mobius "Ruvik Serial Killer" Music Track Location PS4
The Evil Within: Consequence - Ch.3 Illusions: Mobius "Ruvik Serial Killer" Music Track Location PS4
The Evil Within: The Consequence (DLC) RAGE IN DARKNESS
The Evil Within: The Consequence (DLC) RAGE IN DARKNESS
All Tracks - Consequence
All Tracks - Consequence
Consequence - "Scared of Commitment" (ConsTV Tuesday's)
Consequence - "Scared of Commitment" (ConsTV Tuesday's)
Morbid Minute- KILLER Green
Morbid Minute- KILLER Green
15 Deadly Wrestling Moves WWE Banned
15 Deadly Wrestling Moves WWE Banned
Consequence - Couped Up
Consequence - Couped Up
Consequence feat. Styles P "Don't Stand So Close" directed by Derek Pike
Consequence feat. Styles P "Don't Stand So Close" directed by Derek Pike
Consequence - Don't Forget Em Instrumental
Consequence - Don't Forget Em Instrumental
Lizz Robinett - Hide And Seek (ROBLOX Music Video)
Lizz Robinett - Hide And Seek (ROBLOX Music Video)
Try not to laugh challenge consequence is wet bed
Try not to laugh challenge consequence is wet bed
R6 Siege - team killers face no consequence
R6 Siege - team killers face no consequence
The Consequence of Love (heroin scene)
The Consequence of Love (heroin scene)

Lyrics

Oh! We don't have the lyrics to this song yet.

Albums has song "Killer"